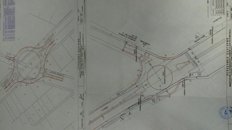
Представиха идейните проекти за кръговите към Долни Воден и към ПЗ "Север"

    На днешната работна среща с участниците в реконструкцията на пътя Асеновград – Пловдив, чийто домакин бе кметът на Асеновград Емил Караиванов, бяха представени двете нови кръгови кръстовища по проекта, които ще бъдат включени. „В предходния си вид проектът на пътя не позволяваше на идващите от Долни Воден към Асеновградско шосе да се включват в потока към Пловдив. Затова предложихме да се изгради кръгово кръстовище, за да могат жителите от Горни и Долни Воден да се включват директно“, разясни градоначалникът. Другото кръгово кръстовище ще се изгради на разклона за ПЗ „Север“ /до завод „Калцит“/. За него Общината ще дари на държавата общинска земя с необходимата площ. За кръговото на Долни Воден предстои изготвяне на парцеларен план, чието проектиране се възлага на АПИ. Изграждането на двете съоръжения също ще бъде ангажимент техен ангажимент.

    На срещата присъстваха зам.-областният управител Петър Петров, инж. Светослав Глосов – член на УС на АПИ, народните представители Манол Генов и Джевдет Чакъров, представители от общините Куклен и Родопи и представители на фирмите-изпълнители по проекта.

    Източник: asenovgrad.net

    Facebook коментари

    Коментари в сайта

    Последни новини